in case you missed it - RM of Dufferin No. 190 - Notice of Intention to Adopt Bylaw 2025-02
Public Notice
Public notice is hereby given that the Council of the RM of Dufferin No. 190 intends to adopt a bylaw pursuant to Section 199 of The Planning and Development Act, 2007 for the sale of dedicated lands.
INTENT
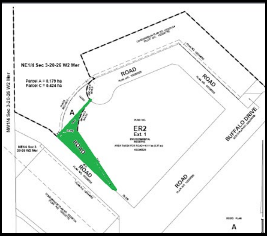
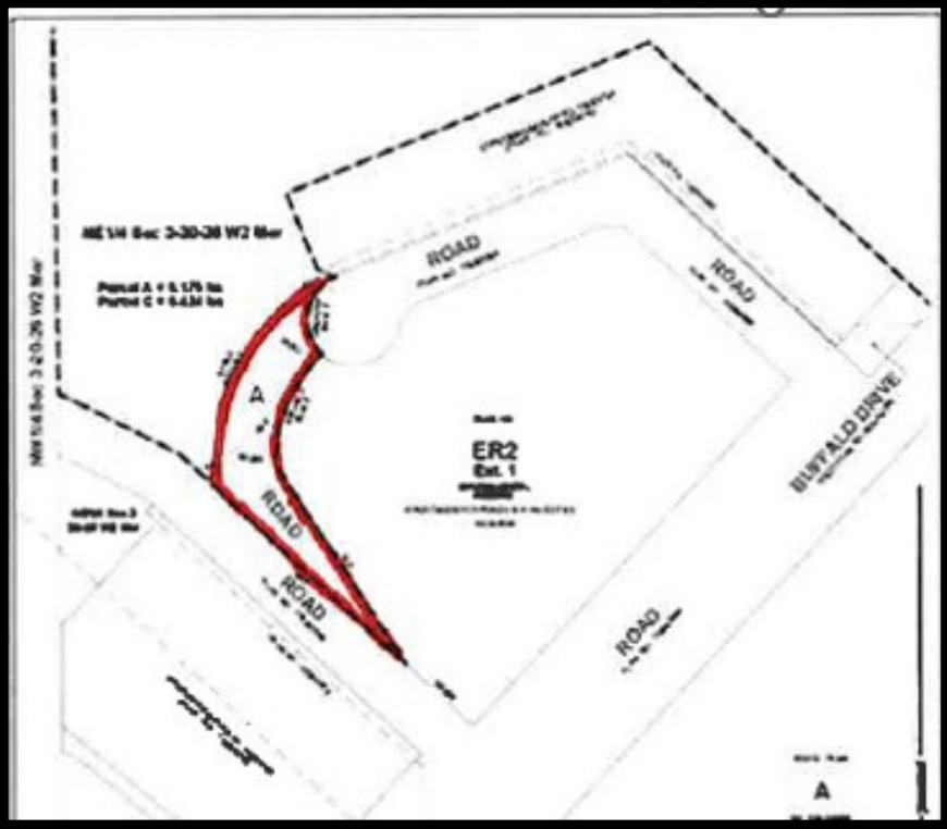
The proposed bylaw will allow for the sale of a portion of Environmental Reserve (ER).
AFFECTED LAND
South and West 0.177 hectares (.437 acres) of ER, Plan No. 102295526 shown on the attached map.


REASON
The portion of ER will be used as road allowance.
PUBLIC INSPECTION
Any person may inspect the proposed Sale of a portion of ER at the RM of Dufferin Office, located at 101 Railway Avenue, in Village of Bethune, between the hours of 9 a.m. to 12 p.m. and 1 p.m. to 4 p.m., Monday to Friday excluding statutory holidays. Copies of the proposed application are available in the RM Office.
PUBLIC HEARING
Council will hold a public hearing on August 14, 2025, at 10:00 a.m. at the RM of Dufferin Council Chambers to hear any person or group that wants to comment on the proposed bylaw. Council will also consider written comments received at the hearing or delivered to the undersigned at the municipal office before the hearing.
Issued at the RM of Dufferin July 14, 2025
CAO/Administrator
Last Mountain Times Newsletter
Join the newsletter to receive the latest updates in your inbox.