Proposed Development - Public Open House
Commercial advertisement
Advertisement authorized by Haryett Developments Ltd
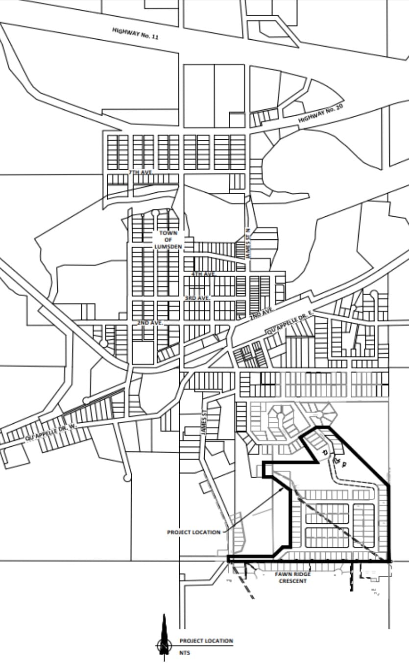
This is a notification of a planned public open house to invite the local community to review and discuss a proposed residential development which is to be located immediately North of Fawn Ridge Estates and the Town of Lumsden Water Treatment Plant.
This exciting development will offer new residential opportunities located at the top of the Lumsden Valley, providing beautiful views, large lots, full servicing, and interconnected infrastructure to blend into the existing developments in the area.
We invite you to attend, ask questions and provide advice on the local area so that we may work towards a development that fits seamlessly into the blended urban & country lifestyle that Lumsden is known for.
Where: Dew Drop Inn - 275 James St N, Lumsden
When: Tuesday, November 4th, 5:00 pm-8:00 pm This is a come-and-go event with no set agenda. There will be presentation boards set up within the space to allow viewing of the proposed development plans and the Owner and their Engineering representatives will be on hand to answer questions and record comments for future consideration.

Last Mountain Times Newsletter
Join the newsletter to receive the latest updates in your inbox.