RM of McKillop No. 220 - Adoption of Bylaw
Public Notice
Public notice is hereby given that the Council of the Rural Municipality of McKillop No. 220 intends to adopt a bylaw under The Planning and Development Act, 2007 to close a portion of buffer strip.
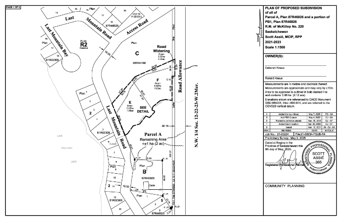
INTENT- The proposed bylaw will allow for the closure of a portion of dedicated lands (Buffer Strip PB1, Plan 87R46926) to be redesignated as a road widening, to provide legal and physical access to a proposed subdivision.
AFFECTED LAND - The affected dedicated lands being close are legally described as: beginning at the northeast corner of Municipal Buffer Strip PB1, Plan 87R46926 where it intersects with the road allowance ORA 22-22-23-W2M; thence southerly along the western boundary of road allowance ORA 22-22-23-W2M a distance of 32.292 metres; thence westerly and perpendicular a distance of 5.183 metres, to the west boundary of Municipal Buffer Strip PB1, Plan 87R46926; thence northerly along the western boundary of Municipal Buffer Strip PB1, Plan 87R46926 a distance of 30.000 metres to the north boundary of Municipal Buffer Strip PB1, Plan 87R46926; thence northeasterly along the northern boundary of Municipal Buffer Strip PB1, Plan 87R46926 to the point of commencement, as shown on the Plan of Proposed Subdivision dated May 8, 2025 and signed by Scott Assié, RPP, MCIP.

REASON - The reason for the buffer strip closure is to redesignate the portion of buffer strip as a road widening, to provide legal and physical access to a proposed subdivision.
PUBLIC INSPECTION – Any person may inspect the bylaw online at www.rmofmckillop220.com, or by contacting the RM Office located at 103 Ashley Street, Bulyea, SK S0G 0L0 between the hours of 9:00 am to 4:00 pm, Monday to Friday excluding statutory holidays. The office can also be reached by phone at (306)-725-3230. Copies of the proposed bylaws are available at the RM office at cost.
PUBLIC HEARING - Council will hold a public hearing on July 18, 2025 at 10:00 a.m. at the Council Chambers located at the 103 Ashley Street, Bulyea, SK S0G 0L0. The purpose of the public hearing is to hear any person or group that wants to comment on the proposed bylaw. The Council will also consider written comments received at the hearing or delivered to the undersigned at the municipal office before the hearing.
Issued at the Rural Municipality of McKillop No. 220 on January 13, 2026.
Marcy Johnson, Assistant CAO/Development Officer, Rural Municipality of McKillop No. 220
Last Mountain Times Newsletter
Join the newsletter to receive the latest updates in your inbox.